Wednesday, October 29, 2025 3:02 PM ET
US rescue teams to descend on hard-hit Caribbean after catastrophic hurricane's impact
Fox News - Top Stories - 1 minute ago
The Latest: Hurricane Melissa leaves dozens dead across Cuba, Haiti and Jamaica
Toronto Star - Top Stories - 1 minute ago
Guardian UK - World - 3 minutes ago
BBC News - World - 3 minutes ago
Our correspondent in Jamaica reports floods, mudslides, roofs being ripped from buildings, and "palm trees tossed like toothpicks".
BBC News - Top Stories - 3 minutes ago
Dozens killed as Hurricane Melissa ravages Cuba, Haiti, Jamaica
Hurricane Melissa left a deadly trail across Cuba, Haiti, and Jamaica, killing dozens and causing massive destruction as residents faced roofless homes,...
Daily Sabah - Top Stories - 13 minutes ago
Hurricane Melissa blamed for at least 40 deaths; storm departs Cuba headed for Bahamas
Orlando Sentinel - Top Stories - 14 minutes ago
King Charles expresses heartbreak over Hurricane Melissa devastation
King Charles has expressed his deep sorrow over the devastation caused by Hurricane Melissa in Jamaica and across the Caribbean.In a heartfelt statement released through Buckingham Palace on...
International The News - Opinion - 17 minutes ago
Hurricane Melissa kills at least 40 in Haiti, leaves path of destruction in Jamaica and Cuba
The storm left Jamaica with widespread damage and power outages
The Globe and Mail - Top Stories - 23 minutes ago
US rescue teams to descend on hard-hit Caribbean after catastrophic Hurricane Melissa's impact
Fox News - Environment - 27 minutes ago
Falcons owner Arthur Blank donates $2.5 million to Hurricane Melissa relief funds
Arthur Blank, owner of the Atlanta Falcons, has pledged an initial $2.5 million through his foundation to aid Hurricane Melissa relief efforts across Jamaica and the Caribbean.
Fox News - Top Stories - 27 minutes ago
How to help Jamaica after Hurricane Melissa
ABC News - World - 28 minutes ago
People - Entertainment - 29 minutes ago
Jamaicans take stock after hurricane causes damage, flooding and power cuts
BBC News - Top Stories - 30 minutes ago
Hurricane Melissa kills 28 in Haiti, ravages Cuba, Jamaica, leaves 500K without power
Follow The Post’s live updates for the latest news on tracking the storm’s path, damage, reactions and photos.
New York Post - World - 33 minutes ago
The devastating hurricane hit Jamaica and Haiti before barreling across Cuba.
New York Magazine - Top Stories - 37 minutes ago
The Conversation - World - 38 minutes ago
Hurricane Melissa kills 25 in southern Haiti, heads toward the Bahamas - Read Now - Share
The powerful storm has battered the Caribbean, leaving devastation in Haiti, triggering mass evacuations in the Bahamas, and prompting hurricane warnings across the region
First Post - Top Stories - 39 minutes ago
The new face of major hurricanes
NBC News - Technology - 47 minutes ago
Hurricane Melissa leaves dozens dead across Cuba, Haiti and Jamaica
The monster storm has caused widespread destruction, where roofless homes, fallen utility poles and water-logged furniture dominated the landscape.
Sydney Morning Herald - World - 48 minutes ago
Texas honeymooners trapped in Jamaica as Hurricane Melissa slams island
What began as a dream honeymoon has turned into a terrifying ordeal for Texas newlyweds Kasydee and Hunter Bishop, who are stranded in Jamaica as Category 5 storm Hurricane Melissa barrels toward...
New York Post - World - 52 minutes ago
'That was hell': Hurricane Melissa leaves Jamaica devastated, 25 die in Haiti
Australian Broadcasting Corp - Top Stories - 53 minutes ago
Hurricane Melissa Passes Over Cuba, Heads for Bahamas
Epoch Times - World - 57 minutes ago
Shocking images show devastation Hurricane Melissa reaped on Jamaica
Up to 8,000 British citizens on Caribbean island as ‘storm of the century’ causes catastrophic winds and flash flooding
Evening Standard - World - 1 hour ago
Miami New Times - US News - 1 hour ago
BBC News - Top Stories - 1 hour ago
Climate & Environment -- John Morales Shaken by Hurricane's Intensification
Miami New Times - Top Stories - 1 hour ago
latest - | Hurricane Melissa leaves 25 dead in Haiti and causes damage in Jamaica and Cuba
Flooding from Hurricane Melissa has killed 25 people in Haiti while the storm still churned across Cuba on Wednesday after leaving Jamaica with widespread ...
Independent.ie - World - 1 hour ago
Phony AI-generated videos of Hurricane Melissa flood social media sites
These videos and others have racked up millions of views on social media platforms, including X, TikTok, and Instagram.
Boston Globe - Top Stories - 1 hour ago
Government launches support plan for farmers affected by Storm Melissa
Dominican Today - Top Stories - 1 hour ago
Hurricane Melissa: 25 dead in Haiti; river bursts banks, homes swept away
Times of India - Top Stories - 1 hour ago
Fierce winds ripped roofs from buildings, and massive boulders crashed down onto roads, cutting off access across the region.
Euronews - World - 1 hour ago
A fast-moving storm will spare Halloween night, but lash Southeastern Mass., Cape Cod with 1 to 4 inches of heavy rain.
Boston Globe - Top Stories - 1 hour ago
Hurricane Melissa: 25 dead in Haiti floods; river bursts banks, homes swept away
Times of India - World - 1 hour ago
Drone reveals Hurricane Melissa devastation as 77% of Jamaica without power and dozens dead in Haiti
In Haiti, 25 people have died after a river burst its banks during Hurricane Melissa. The storm hit Jamaica yesterday, leaving 77% of the island without power. This morning, it swept across Cuba. The extent of the damage across the Caribbean is not yet known. Watch and follow live below.
Sky News - Top Stories - 1 hour ago
Business Insider - US News - 1 hour ago
The storm made landfall in the southwestern part of the island, with destructive winds whipping at 185mph
Independent UK - Top Stories - 1 hour ago
Hurricane Melissa - what we know about the damage in Jamaica
The Jamaican authorities are trying to assess the impact of Hurricane Melissa - footage on social media is revealing the scale of the damage left behind
BBC News - Top Stories - 1 hour ago
Hurricane Melissa Leaves Jamaica as Category 4, Heads for Cuba, Bahamas
Epoch Times - Top Stories - 1 hour ago
Jamaica Declares Disaster, Death Toll Rises After Hurricane Melissa
Epoch Times - World - 1 hour ago
Hurricane Melissa nears the Bahamas after pummeling Jamaica, then Cuba. Follow live updates.
Boston Globe - Top Stories - 2 hours ago
Hurricane Melissa leaves dozens dead in trail of destruction across Cuba, Haiti and Jamaica
Flooding from Hurricane Melissa killed 25 people in Haiti while the storm still churned across Cuba on Wednesday after leaving Jamaica with widespread damage and power outages, officials say.
CTV News - Top Stories - 2 hours ago
Hurricane Melissa causes extensive damage in Jamaica and Cuba – in pictures
Guardian UK - World - 2 hours ago
Powerful Hurricane Melissa Makes Landfall in Jamaica and Cuba
An incredibly powerful hurricane swept through Jamaica on Tuesday, leaving flooding and destruction in its wake. Hurricane Melissa was a Category 5 storm – and was reported to be the strongest storm ever to hit the island nation.
Inside Edition - US News - 2 hours ago
Dream honeymoon turns to nightmare as Hurricane Melissa destroys Texas couple's marriage celebration
Daily Mail - Top Stories - 2 hours ago
Hurricane Melissa to bring high winds, heavy rain to Eastern Canada Friday: forecaster
As Hurricane Melissa makes its way northeast from the Caribbean, a forecaster says residents in Atlantic Canada should prepare for strong winds and heavy rain later this week.
CTV News - Top Stories - 2 hours ago
Hurricane Melissa live updates: Widespread destruction reported in Jamaica
ABC News - Top Stories - 2 hours ago
Powerful Hurricane Melissa Makes Landfall in Jamaica and Cuba -- News
An incredibly powerful hurricane swept through Jamaica on Tuesday, leaving flooding and destruction in its wake. Hurricane Melissa was a Category 5 storm – and was reported to be the strongest storm ever to hit the island nation.
Inside Edition - Top Stories - 2 hours ago
Hurricane Melissa hits Cuba after devastating Jamaica
More than 700,000 people in Cuba have been evacuated, with authorities warning of storm surges and flash flooding.
Sky News - Top Stories - 2 hours ago
Hurricane Melissa blamed for 25 deaths in Haiti, as Jamaican, Cuban officials assess damage
Hurricane Melissa was grinding across Cuba on Wednesday as a Category 2 storm after pummelling Jamaica as one of the strongest Atlantic hurricanes on record, the U.S. National Hurricane Center said.
CBC News - Top Stories - 2 hours ago
Hurricane Melissa blamed for 25 deaths in Haiti, as Jamaican, Cuban officials assess damage -- -
Hurricane Melissa was grinding across Cuba on Wednesday as a Category 2 storm after pummelling Jamaica as one of the strongest Atlantic hurricanes on record, the U.S. National Hurricane Center said.
CBC News - World - 2 hours ago
Hurricane Melissa, strongest storm ever to hit Jamaica, roars onward into Cuba
Dawn - Top Stories - 2 hours ago
Hurricane Melissa hits Cuba after turning Jamaica into 'disaster area'
Guardian UK - World - 2 hours ago
See photos, video from Jamaica after deadly Hurricane Melissa makes landfall as Cat 5
The Advocate - Top Stories - 2 hours ago
Before and After: Jamaican Hotel Ravaged by Hurricane Melissa
Before-and-after footage shows a Jamaican hotel devastated by the powerful winds and flooding brought by Category 5 Hurricane Melissa. The storm tore through the island, leaving widespread...
New York Post - Top Stories - 2 hours ago
25 killed as Hurricane Melissa unleashes catastrophic floods in southern Haiti
ALBAWABA- At least 25 people were killed in southern Haiti after torrential rains from Hurricane Melissa triggered catastrophic flooding, submerging ent
Albawaba - World - 2 hours ago
Watch: Aftermath of Hurricane Melissa as Montego Bay devastated
BBC News - Top Stories - 3 hours ago
Hurricane Melissa nears Jamaica with 180 mph winds, threatening historic destruction. Follow Newsweek's live blog.
Newsweek - Top Stories - 3 hours ago
After Ravaging Jamaica, Hurricane Melissa Isn't Done Yet. Here's What's Next
Gizmodo - Technology - 3 hours ago
Hurricane Melissa kills over 2 dozen in Caribbean after catastrophic landfalls
Fox News - Top Stories - 3 hours ago
After battering Jamaica, Hurricane Melissa makes Cuba landfall
Hurricane Melissa, the strongest storm ever recorded in Jamaica, left a trail of destruction across the island before tearing into eastern Cuba on...
Daily Sabah - World - 3 hours ago
Hurricane Melissa kills 25 more people after river bank burst
Daily Mail - Top Stories - 3 hours ago
Hurricane Melissa hits Cuba after killing 26 people in Haiti, Jamaica
'Monstrous' Hurricane Melissa crosses Cuba after killing 25 in Haiti and a baby in Jamaica.
Aljazeera - Top Stories - 3 hours ago
25 people have died in southern Haiti after a river flooded by Hurricane Melissa burst its banks, mayor says.
Bay to Bay News - World - 3 hours ago
Hurricane Melissa leaves 25 dead in Haiti, causes widespread damage in Jamaica and Cuba
Flooding from Hurricane Melissa killed 25 people in Haiti while the storm still churned across Cuba on Wednesday after leaving Jamaica with widespread damage.
CNBC - Top Stories - 3 hours ago
25 People Die In Southern Haiti After River Flooded By Hurricane Melissa Burst Its Banks
“I am overwhelmed by the situation,” Mayor Jean Bertrand Subrème said.
Huffington Post - Politics - 3 hours ago
Full report -- Hurricane Melissa hits Cuba after turning Jamaica into 'disaster area'
Guardian UK - Top Stories - 3 hours ago
US State Department Sends Emergency Teams After Hurricane Melissa Hits Jamaica, Cuba
While the post did not specify which countries the response team would be deployed to, Hurricane Melissa made landfall in Jamaica as a Category 5 storm.
Epoch Times - Top Stories - 3 hours ago
UPI - World - 3 hours ago
'It has hit us hard': Montego Bay mayor outlines situation on the ground after Hurricane Melissa
Richard Vernon, the mayor of Montego Bay, spoke about the impact of Hurricane Melissa on Jamaica and the destruction the storm left behind. Vernon said the priority is to ensure that there are no casualties or loss of life in the Montego Bay area.
NBC News - World - 3 hours ago
Trump pledges aid as Hurricane Melissa devastates Jamaica and neighboring countries
Dominican Today - Top Stories - 3 hours ago
UNICEF representative: At least 250,000 children severely affected by Hurricane Melissa in Jamaica
UNICEF representative for Kingston, Jamaica, Olga Isaza spoke about the struggles at least 250,000 children will have to face after Hurricane Melissa devastated the island. Isaza said the priorities and concerns for UNICEF are water, sanitation, hygiene and food for the children in affected areas.
NBC News - World - 4 hours ago
Hurricane Melissa hits Cuba after Jamaica declared 'a disaster area'
Cuban president warns storm would cause ‘significant damage’ as 735,000 people evacuated in country’s east
Irish Times - Top Stories - 4 hours ago
Horrified meteorologist CURSES live on air upon realizing just how devastating Melissa will be
Daily Mail - Top Stories - 4 hours ago
Disastrous images emerge from Jamaica following direct hit by Hurricane Melissa
ABC News - US News - 4 hours ago
Hurricane Melissa weakens after making landfall in Cuba as Cat 3 storm
The Advocate - Top Stories - 4 hours ago
UK providing £2.5m in humanitarian support to Jamaica after Hurricane Melissa
UK experts have also been deployed to the region to assist with the disaster response and recovery.
Evening Standard - Politics - 4 hours ago
Hurricane Melissa tears through the Caribbean. Maps show its forecast path.
Hurricane Melissa was hitting eastern Cuba hard early Wednesday after slamming Jamaica as a Category 5 storm. Maps show its forecast path.
CBS News - Top Stories - 4 hours ago
Hurricane Melissa churns across Cuba as a Category 2 storm
Hurricane Melissa is moving across eastern Cuba as a Category 2 storm.
The Globe and Mail - World - 4 hours ago
Category 5 storm melissa devastates Jamaica
Euronews - World - 4 hours ago
Melissa weakens as it churns across Cuba as a Category 2 storm
Tampa Bay Times - Top Stories - 4 hours ago
Relief organization trying to reach Jamaica in wake of Hurricane Melissa
ABC News - World - 5 hours ago
Hurricane Melissa weakens as it churns across Cuba as a Category 2 storm
At least one death was reported in Jamaica, where Melissa roared ashore on Tuesday with top sustained winds of 185 mph.
Los Angeles Times - World - 5 hours ago
The Latest: Hundreds of thousands evacuate as Hurricane Melissa hits eastern Cuba
Hurricane Melissa made landfall in eastern Cuba as a Category 3 storm after pummeling Jamaica as one of the strongest Atlantic hurricanes on record. Hundreds of thousands have been evacuated in the …
Bay to Bay News - World - 5 hours ago
Hurricane Melissa weakens to Category 2 storm, batters Cuba
Hurricane Melissa weakened to a Category 2 storm as it crossed Cuba, after pummeling Jamaica as the strongest storm ever recorded over that Caribbean island. Follow DW for more.
Deutsche Welle - Top Stories - 5 hours ago
Video -- Hurricane Melissa leaves trail of devastation in Jamaica
Guardian UK - Top Stories - 5 hours ago
Daily Mail - Top Stories - 5 hours ago
Alison Hammond issues update as family caught up in Hurricane Melissa
This Morning presenters Alison Hammond and Dermot O'Leary detailed the latest headlines during Wednesday's show.
WalesOnline - Entertainment - 5 hours ago
Hurricane Melissa's 185mph path of destruction devastates Jamaica
Independent UK - Top Stories - 5 hours ago
Hurricane Melissa barrels across Cuba after devastating Jamaica
Follow NBC News live coverage of Hurricane Melissa as it makes landfall in Cuba after hitting Jamaica.
NBC News - Top Stories - 5 hours ago
Hurricane Melissa tracker: Following storm's path after historic landfall in Jamaica
ABC News - Top Stories - 5 hours ago
Take a look back at Hurricane Sandy and its aftermath 13 years after the devastating storm
New York Daily News - Top Stories - 5 hours ago
UK ready to send humanitarian support to Jamaica in wake of hurricane – PM
Evening Standard - Politics - 5 hours ago
Why Hurricane Melissa turned into a supercharged monster
Apple Valley News Now - US News - 6 hours ago
Daily Mail - Top Stories - 6 hours ago
The Conversation - US News - 6 hours ago
The Conversation - Environment - 6 hours ago
NBC News' George Solis reports on the aftermath of Hurricane Melissa from Jamaica
Hurricane Melissa is wreaking havoc in Cuba after absolutely devastating the island of Jamaica as a Category 5 storm with destructive 185-mile-per-hour winds and heavy rain that caused catastrophic flooding and landslides. NBC’s George Solis reports and TODAY’s Al Roker tracks where it’s headed next.
NBC News - Top Stories - 6 hours ago
Jamaica a Disaster Area After Hurricane Melissa Makes Landfall
Hurricane Melissa is wreaking havoc in Cuba after absolutely devastating the island of Jamaica as a Category 5 storm with destructive 185-mile-per-hour winds and heavy rain that caused catastrophic flooding and landslides. NBC’s George Solis reports and TODAY’s Al Roker tracks where it’s headed next.
NBC News - Technology - 6 hours ago
In photos: Hurricane Melissa hits Cuba hours after devastating Jamaica -- Gallery
Hurricane Melissa slammed into Cuba early on Wednesday, hours after causing devastation in neighboring Jamaica as the strongest-ever storm on record to hit that Caribbean island nation.
The Globe and Mail - World - 6 hours ago
Live Science - Top Stories - 6 hours ago
Live Science - Science - 6 hours ago
Hurricane Melissa devastates Jamaica, makes its way through Cuba
Hurricane Melissa intensified to Category 5 strength Monday as it neared Jamaica, where forecasters said it would unleash catastrophic flooding, multiple landslides and extensive infrastructure damage.
CTV News - Top Stories - 7 hours ago
The Week - Top Stories - 7 hours ago
More of Melissa: Why Intense Hurricanes Are Becoming More Common
Deccan Chronicle - World - 7 hours ago
Hurricane Melissa leaves Jamaica devastated. And, the shutdown's impact on airports
NPR - World - 7 hours ago
Fox News - Top Stories - 7 hours ago
Hurricane Melissa bears down on Cuba after pounding Jamaica
The Caribbean continues to be battered by Hurricane Melissa, one of the strongest Atlantic storms on record. After leaving catastrophic damage in Jamaica, the storm has weakened to a still-powerful Category 3, but Cuban authorities say they are bracing for the worst.
Deutsche Welle - Environment - 7 hours ago
UPI - World - 7 hours ago
Apple Valley News Now - US News - 7 hours ago
Apple Valley News Now - US News - 7 hours ago
Shutdown deadlines loom and the destruction of Hurricane Melissa: Morning Rundown
Plus, the athletes to watch in the Winter Olympics, only 100 days away.
NBC News - US News - 7 hours ago
Hurricane Melissa slams Cuba after leaving trail of ruin in Jamaica
Hurricane Melissa slammed into Cuba early on Wednesday, hours after causing devastation in neighboring Jamaica as the strongest-ever storm on record to hit that Caribbean island nation.Melissa hit...
International The News - World - 8 hours ago
In pictures: Hurricane Melissa hits Cuba after causing chaos in Jamaica
Hundreds of thousands left without power in Jamaica as hospitals are forced to evacuate
Irish Times - World - 8 hours ago
Live-event - Brits stranded as Hurricane Melissa hits Jamaica - 'storm of the century'
Daily Express - World - 8 hours ago
Hurricane Melissa lashes Jamaica as Category 5 storm
Hurricane Melissa began lashing Jamaica with violent gusts on Monday as the U.S. National Hurricane Center upgraded it to a Category 5 storm packing sustained winds of 265 kph, the largest on record to slam into the Caribbean island.
The Globe and Mail - World - 8 hours ago
Hurricane Melissa tracked by storm hunters flying into its eye
The U.S. Air Force Reserve's 53rd Weather Reconnaissance Squadron, the 'Hurricane Hunters,' flew through Hurricane Melissa on Monday to collect vital data for the National Hurricane Center.
The Globe and Mail - World - 8 hours ago
The Globe and Mail - World - 8 hours ago
Hurricane Melissa bears down on Jamaica
Hurricane Melissa brought intense wind and rain to Jamaica on Tuesday as residents braced for what is expected to be the worst storm to hit the Caribbean island this century.
The Globe and Mail - World - 8 hours ago
Visual guide -- Hurricane Melissa: a visual guide to the storm devastating Jamaica and Cuba
Guardian UK - Top Stories - 8 hours ago
Hurricane Melissa made landfall over eastern Cuba early Wednesday as an "extremely dangerous" Category 3 storm, forecasters said, after pummeling Jamaica.
CBS News - World - 9 hours ago
Hurricane Melissa makes landfall in Cuba after devastating Jamaica
Hurriyet Daily News - World - 9 hours ago
VIDEO: Hurricane Melissa Smashes Cuba as Jamaica Cleans up in Its Wake
Hurricane Melissa roared across eastern Cuba early Wednesday after being downgraded to a Category 3 storm. The extreme weather event hit after pummeling Jamaica as one of the strongest Atlantic hurricanes on record.
Breitbart - Politics - 9 hours ago
Be ready before storm hits: Essential hurricane preparation tips
Hurricane season can be stressful for anyone near the potential path of a storm, as powerful winds and heavy rain can cause widespread damage, cut power...
Daily Sabah - Environment - 9 hours ago
What we know about Hurricane Melissa that 'ravaged' Jamaica before hitting Cuba
The hurricane, which is now tearing through Cuba, was the first Category 5 storm to hit Jamaica since records began 174 years ago.
Sky News - World - 9 hours ago
Maryland Jamaican community rallies as Hurricane Melissa devastates island
The Baltimore Sun - US News - 9 hours ago
Watch live Sky News coverage of Hurricane Melissa
Watch live Sky News coverage as Hurricane Melissa heads for Cuba after Jamaica declared a disaster area
Sky News - World - 9 hours ago
BBC News - Top Stories - 10 hours ago
Hurricane Melissa hits Cuba as Jamaican PM declares 'disaster area'
Cuban authorities have evacuated more than 700,000 people as Jamaica’s prime minister declares his nation a ‘disaster area’
Evening Standard - World - 10 hours ago
Remnants of Hurricane Melissa could 'come fairly close' to Ireland, Met Éireann says
Irish Times - Top Stories - 10 hours ago
Monster hurricane makes landfall along Cuba coast after drenching Jamaica
Hurricane Melissa is now churning toward Cuba’s second-largest city with the force of a powerful category 4 storm, hours after making landfall in neighbouring Jamaica.
Sydney Morning Herald - World - 10 hours ago
Daily Mail - World - 10 hours ago
Hurricane Melissa makes landfall on south coast of eastern Cuba as a Category 3 storm
Hurricane Melissa makes landfall on south coast of eastern Cuba as a Category 3 storm.
Bay to Bay News - World - 11 hours ago
Aftermath of Hurricane Melissa in Jamaica
Footage shows damaged buildings after Hurricane Melissa made landfall in Jamaica.
Sky News - Top Stories - 11 hours ago
Video: Hurricane Melissa destroys Jamaica's Sangster International Airport
ALBAWABA - Hurricane Melissa, classified as a Category 5 storm, is causing massive floods and destruction in Jamaica.Authorities in Jamaica said that th
Albawaba - World - 11 hours ago
Daily Express - World - 11 hours ago
Mass evacuations in Cuba as Hurricane Melissa leaves Jamaica a disaster zone
Hurricane Melissa is regathering strength as it makes way towards Cuba, where mass evacuations are taking place. Jamaica has officially been declared a disaster zone after Melissa swept through as a Category Five storm, weakening to a Category Four. The Caribbean disaster has left at least seven…
SBS - World - 11 hours ago
Lightning inside eye of Hurricane Melissa
Sky News - Top Stories - 12 hours ago
Hurricane Melissa wreaks havoc on Jamaican airport
Footage shows wreckage left by Hurricane Melissa inside Sangster International Airport in Jamaica.
Sky News - Top Stories - 12 hours ago
How Hurricane Melissa defied hurdles to become the 'storm of the century'
Australian Broadcasting Corp - World - 12 hours ago
These are the strongest hurricanes that have struck Jamaica in the past
ABC News - World - 12 hours ago
'Had to tie myself to the bed': Aussie details Hurricane Melissa terror in Jamaica
Hurricane Melissa — one of the most powerful hurricanes on record — has ripped a path of destruction through Jamaica.
SBS - Top Stories - 12 hours ago
Euronews - World - 13 hours ago
Hurricane Melissa charges toward Cuba after pummeling Jamaica with historic power
Hurricane Melissa barreled toward eastern Cuba, where it was expected to make landfall as a major storm early Wednesday after pummeling Jamaica as one of the strongest Atlantic hurricanes on record. …
Bay to Bay News - World - 13 hours ago
Independent.ie - World - 13 hours ago
The Irish Independent's View: Hurricane Melissa's ferocity highlights urgent need for climate action
Independent.ie - Opinion - 13 hours ago
Photos: Hurricane Melissa churns across Jamaica
The destructive category 5 storm brings record rainfall and high winds to the Caribbean island nation.
Boston Globe - Top Stories - 13 hours ago
Hurricane Melissa: 'Unstoppable force' batters Jamaica; Cuba on edge as storm nears – 10 key points
Times of India - World - 15 hours ago
Texas honeymooners trapped in Jamaica as Category 5 Hurricane Melissa slams island
Texas newlyweds Kasydee and Hunter Bishop are trapped near Montego Bay, Jamaica, as Hurricane Melissa approaches as a Category 5 storm with 175 mph winds.
Fox News - Environment - 15 hours ago
The US National Hurricane Centre warned of catastrophic, life-threatening conditions, driven by the storm’s slow movement, extreme winds, and intense rainfall and storm surge.
Sydney Morning Herald - World - 15 hours ago
Hurricane Melissa moves toward Cuba after causing heavy flooding, damage in Jamaica -- Yesterday
Storm leaves nearly 15,000 people in shelters and some 540,000 without power
The Globe and Mail - World - 16 hours ago
Hurricane Melissa Brings Flooding and Catastrophic Winds to Jamaica
Deccan Chronicle - Top Stories - 17 hours ago
Hurricane Melissa downgraded to Category 3, set to hit Cuba next
Despite weakening from a Category 5 hurricane to a Category 3, Hurricane Melissa is still poised to unleash catastrophic rain and winds on Cuba as it continues its deadly path.
One America News Network - US News - 17 hours ago
In pictures -- Hurricane Melissa: huge swells and waves as storm strikes
Guardian UK - Top Stories - 17 hours ago
Hurricane Melissa: 'Storm of the century' takes aim at Cuba after roaring across Jamaica
At its peak, the storm packed ferocious sustained winds of 300km/h.
SBS - Top Stories - 17 hours ago
Crocodiles could invade Jamaican neighborhoods in wake of Hurricane Melissa flooding, officials warn
As the record-breaking Hurricane Melissa brings destructive winds, torrential rain and aggressive storm surge across Jamaica, widespread flooding has Jamaican officials warning of another dangerous and unusual threat: crocodiles.
Fox News - Top Stories - 18 hours ago
Jamaica set for strongest hurricane on record - here's how to stay safe
Independent UK - Entertainment - 18 hours ago
Jamaica's strongest-ever storm, Hurricane Melissa, turns to Cuba
The Straits Times - World - 18 hours ago
Britons tell of Hurricane Melissa ordeal - as tourists locked down in hotels
Thousands of British tourists are hunkered down in their hotels as Hurricane Melissa passes over Jamaica, while one man paid £3,500 to fly his family back to the UK early.
Sky News - World - 19 hours ago
Hurricane Melissa made landfall Tuesday in Jamaica as a fearsome Category 5 storm. Forecasters said it could be the island's "storm of the century."
CBS News - Science - 19 hours ago
Hurricane Melissa is slowly moving towards Cuba
Heavy rains hit Cuba hours before Category 4 Hurricane Melissa makes landfall.
Sydney Morning Herald - World - 19 hours ago
Hurricanes land commitment from four-star receiver Milan Parris
Orlando Sentinel - Sports - 19 hours ago
'Communities warned about crocodiles' during Hurricane Melissa: Jamaica resident
ABC News - World - 20 hours ago
Two Louisiana newlyweds who traveled to Jamaica for honeymoon ride out Hurricane Melissa
The Advocate - Top Stories - 20 hours ago
Hurricane Melissa: Viral TikTok Video Fuels Fake Shark Sighting in Jamaica
Experts warn against fake content after a fake shark sighting went viral on TikTok amid Hurricane Melissa's landfall in Jamaica.
International Business Times - World - 20 hours ago
Hurricane Melissa is expected to hit Jamaica later on Tuesday with sustained winds exceeding 280 km/h. Follow our live coverage.
Sydney Morning Herald - World - 21 hours ago
Hurricane Melissa hits Jamaica with life-threatening storm surge: Live
The storm made landfall in the southwestern part of the island, with destructive winds whipping at 185mph
Independent UK - US News - 21 hours ago
Hurricane Melissa hammers Jamaica after making landfall as Category 5 storm
ABC News - World - 21 hours ago
Storm surges of 13 feet (3.9m) above ground level and destructive waves are expected as the storm hits Jamaica.
BBC News - World - 21 hours ago
New danger for hurricane-hit Jamaica: wandering crocodiles
Peninsula Qatar - Top Stories - 21 hours ago
Hurricane Melissa made 'catastrophic' Jamaica landfall with Cuba, Bahamas in sights
Orlando Sentinel - Top Stories - 21 hours ago
Daily Mail - Science - 22 hours ago
Heart-stopping detail on live flight map near Hurricane Melissa's eye leaves viewers stunned
Daily Mail - Science - 22 hours ago
Hurricane Melissa could turn US attention from 'drug boats' to aid
Independent UK - US News - 22 hours ago
Dominican ports fully operational after Hurricane Melissa
Dominican Today - Top Stories - 22 hours ago
Navy Confirms Evacuations As Hurricane Melissa Roared Toward The Caribbean
The Navy has evacuated 864 family members, civilian employees, and contractors from Naval Station Guantánamo Bay as Hurricane Melissa powers toward the Caribbean as a Category 5 storm.
Military.com - US News - 22 hours ago
The Navy has evacuated 864 family members, civilian employees, and contractors from Naval Station Guantánamo Bay as Hurricane Melissa powers toward the Caribbean as a Category 5 storm.
Military.com - Opinion - 22 hours ago
The Conversation - US News - 23 hours ago
Watch: Hurricane Melissa peels back roofs from homes in Black River, Jamaica
Fox News - Top Stories - 23 hours ago
Category 5 Hurricane Melissa brings flooding and catastrophic winds to Jamaica
New York Daily News - World - 23 hours ago
Hurricane Melissa unleashes demonic howling as it pummels Jamaica with 185 mph winds
A live camera and microphone on the beach captured the unearthly wail as the storm screamed ashore.
New York Post - World - 23 hours ago
How Hurricane Melissa Became One of the Most Intense Atlantic Storms on Record
A nearly perfect alignment of factors has enabled Hurricane Melissa to become one of the most intense Atlantic storms ever recorded
Scientific American - Top Stories - 23 hours ago
Hurricane Melissa, which struck Jamaica as a Category 5, is among the strongest hurricanes to have formed in the Atlantic since records were kept.
CBS News - World - 23 hours ago
Air Force Videos Capture the Eye of Hurricane Melissa as Catastrophic Storm Hits Jamaica
Gizmodo - Technology - 23 hours ago
Why are the Hurricanes running inside so often? Mario Cristobal, Shannon Dawson explain
Orlando Sentinel - Sports - 23 hours ago
Hurricane Melissa makes landfall in Jamaica with 185mph winds
Britons urged to alert Foreign Office of presence on island as ‘trillions of gallons’ of water set to fall amid power cuts
Independent UK - World - 23 hours ago
These maps detail Hurricane Melissa's track, catastrophic impacts
Hurricane Melissa on Tuesday became the strongest hurricane to ever make landfall in the Atlantic Ocean.
Boston Globe - Top Stories - 23 hours ago
Hurricane Melissa: Central Florida's Jamaica nonprofits seek donations
Orlando Sentinel - Top Stories - 23 hours ago
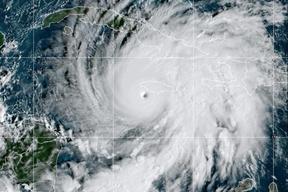
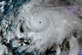
Hurricane Melissa Images Reveal a Monster Storm for the Record Books
These images of Hurricane Melissa show the Category 5 storm in all its power
Scientific American - Top Stories - 1 day ago
Weather -- Hurricane Melissa Images Reveal a Monster Storm for the Record Books
These images of Hurricane Melissa show the Category 5 storm in all its power
Scientific American - Science - 1 day ago
Hurricane Melissa makes landfall as Jamaica's strongest-ever storm
The Miami-based hurricane center warned that "total structural failure" was likely in Melissa's path.
Channel NewsAsia - World - 1 day ago
Hurricane Melissa shows need for climate action at Cop30 summit, Cabinet hears
Evening Standard - Politics - 1 day ago
Monster Hurricane Melissa makes landfall in Jamaica
Ferocious winds and torrential rain tore into Jamaica on Tuesday as Hurricane Melissa made landfall, the worst storm ever to strike the island nation and one of the most powerful hurricanes on...
International The News - World - 1 day ago
United Cajun Navy deployed to Jamaica to provide aid as island braces for Hurricane Melissa
The Advocate - Top Stories - 1 day ago
Melissa strikes Jamaica, tied as most powerful Atlantic storm to come ashore
Ars Technica - Science - 1 day ago
Hurricane Melissa has made landfall in Jamaica as a Category 5 hurricane
ABC News - US News - 1 day ago
Hurricane Melissa tracker: Latest updates on the storm's path through Jamaica
New York Post - World - 1 day ago
Hurricane Melissa makes landfall in Jamaica as dangerous Category 5 storm
ABC News - World - 1 day ago
Weather -- How Hurricane Melissa Became One of the Most Intense Atlantic Storms on Record
A nearly perfect alignment of factors has enabled Hurricane Melissa to become one of the most intense Atlantic storms ever recorded
Scientific American - Environment - 1 day ago
Hurricane Melissa, strongest in 174 years, makes landfall on Jamaica
Hurricane Melissa intensified Tuesday before making landfall on Jamaica as by far the strongest storm to hit the island since records were first kept 174...
Daily Sabah - World - 1 day ago
Hurricane Melissa: storm makes landfall in Jamaica with sustained winds of 295 km/h
Island’s health and wellness ministry reports there have been three storm-related deaths ahead of landfall
Irish Times - World - 1 day ago
BBC News - Technology - 1 day ago
Meteorologist Says 'Oh My Jesus' on Live TV While Reporting on Startling Hurricane Melissa Update
People - Entertainment - 1 day ago
What to know about Hurricane Melissa
Hurricane Melissa, a Category 5 storm, threatens Jamaica with damaging winds, heavy rain, and flash floods. The storm is expected to track across southeastern Cuba through Wednesday. Melissa is the …
Bay to Bay News - US News - 1 day ago
Powerful animation shows how Hurricane Melissa grew in 24 hours
Independent UK - US News - 1 day ago
Hurricane Melissa Is Most Powerful Storm To Hit Jamaica In 174 Years
Parts of the Caribbean are battening down and preparing for an historic weather event. Hurricane Melissa is a Category 5 storm, and the National Hurricane Center says its wind speeds reach up to 180 mph.
Inside Edition - US News - 1 day ago
Video From A Plane Inside Hurricane Melissa Confirms You Don't Want To Be There
The record-breaking storm was expected to make landfall in Jamaica Tuesday morning.
Huffington Post - Science - 1 day ago
'Hurricane Hunter' who flew into eye of Melissa had to turn back due to turbulence
ABC News - World - 1 day ago
Former Miss Jamaica UK fearful as deadly Hurricane Melissa nears
Cherelle Mukoko tries to remain calm from home in London as most powerful storm world has seen this year threatens family
Evening Standard - World - 1 day ago
Hurricane Melissa Is Most Powerful Storm To Hit Jamaica In 174 Years -- News
Parts of the Caribbean are battening down and preparing for an historic weather event. Hurricane Melissa is a Category 5 storm, and the National Hurricane Center says its wind speeds reach up to 180 mph.
Inside Edition - Top Stories - 1 day ago
53rd Weather Reconnaissance Squadron plane flies into eye of Hurricane Melissa
Army Times - Top Stories - 1 day ago
Daily Mail - Science - 1 day ago
Messaging through Hurricane Melissa
I know what's happening on the ground in Jamaica thanks to WhatsApp — ordinarily, a quick and convenient means of staying in touch; under threat of natural a disaster, a lifeline.
Global Voices - Environment - 1 day ago
UK nationals in Jamaica given new update as Hurricane Melissa looms
Independent UK - US News - 1 day ago
Jamaica prepares for Melissa; Dodgers take World Series lead | Hot off the Wire podcast
Tulsa World - Top Stories - 1 day ago
Hurricane Melissa: Storm hunters capture incredible footage inside eye
Independent UK - US News - 1 day ago
Hurricane Melissa latest: Jamaica braces for 'storm of the century'
Hurricane Melissa, the most powerful hurricane of the year so far, is hurtling towards Jamaica and is expected to make landfall soon
Evening Standard - World - 1 day ago
Daily Mail - Science - 1 day ago
Arrival of new U.S. Ambassador to the Dominican Republic postponed due to Hurricane Melissa
Dominican Today - Entertainment - 1 day ago
Expected to make landfall in Jamaica on Monday evening or Tuesday morning, Hurricane Melissa is forecast to become a Category 5 hurricane, making it the strongest storm on record for the Caribbean island nation,
Euronews - World - 1 day ago
Daily Mail - Science - 1 day ago
Jamaica PM implores public to shelter from hurricane as some refuse
Independent UK - US News - 1 day ago
Mapped: Jamaica orders evacuation as it braces for Cat- 5 hurricane
Independent UK - US News - 1 day ago
Briton stranded by Hurricane Melissa describes 'undercurrent of panic'
A British holidaymaker trapped in Jamaica has described how there is an "undercurrent of panic" on the island as Hurricane Melisaa is set to make landfall on Tuesday (28 October). The ferocious Category 5 storm is set to pummel the country, with forecasters warning that it would be the strongest to hit the island since records began 174 years ago.
Independent UK - US News - 1 day ago
How global warming has intensified Hurricane Melissa
Increasingly warm oceans resulting from global warming are a key reason for Hurricane Melissa's wind speed doubling in less than 24 hours over the weekend, climate scientists have said. The ferocious Category 5 storm is set to pummel Jamaica on Tuesday (28 October), with forecasters warning that it would be the strongest to hit the island since records began 174 years ago.
Independent UK - US News - 1 day ago
Video: Plane flies through world's strongest storm, Hurricane Melissa
Forecasters say the Category 5 storm, Hurricane Melissa is set to be Jamaica’s most destructive on record.
Aljazeera - Environment - 1 day ago
Foreign Office issues emergency hurricane warning as 8,000 Brits stuck in Jamaica
Daily Express - Politics - 1 day ago
The 1-gallon rule and 5 other crucial steps to take before a hurricane
Independent UK - US News - 1 day ago
Daily Express - World - 1 day ago
Es probable que la tormenta de categoría 5, que se prevé sea la peor en la historia de Jamaica, tenga efectos catastróficos y consecuencias nefastas para el Caribe, ya que más de 25 millones de personas en Jamaica, Cuba y Haití se encuentran en la trayectoria directa del huracán Melissa.
One America News Network - Top Stories - 1 day ago
Storm devastates Jamaica: Hurricane Hunters film inside eye of Category 5 Melissa — Watch
Times of India - US News - 1 day ago
Melissa's wrath: Jamaica hit by strongest storm in its history amid mass evacuations
Hurricane Melissa surged with sustained winds of 175 mph on Monday, a slow-moving Category 5 storm hurtling toward Jamaica, threatening to become the strongest hurricane ever recorded on the...
International The News - World - 1 day ago
Jamaica Cowers as Category 5 Melissa Bears Down, Supercharged by Warming Seas
Mother Jones - Environment - 1 day ago
Why Hurricane Melissa's intensity and slow-moving speed are a recipe for disaster
NPR - World - 1 day ago
Category 5 Hurricane Melissa Closes In On Jamaica
Weather experts expect potentially catastrophic damage, rainfall, and flooding to hit the island Tuesday morning.
Epoch Times - US News - 1 day ago
The Conversation - US News - 1 day ago
Hurricane Melissa is now the strongest storm on the planet this year
Apple Valley News Now - US News - 1 day ago
Weather -- Why Hurricane Melissa Could Be the Worst Storm to Ever Hit Jamaica
Category 5 Hurricane Melissa’s exceptional strength and slow pace could make it more destructive than Hurricane Gilbert, which hit Jamaica in 1988
Scientific American - Environment - 1 day ago
With sustained winds of 260 kilometers per hour, Melissa is expected to make landfall early on Tuesday. Mandatory evacuation orders have been issued for several parts of the island and residents are being told to head to shelters. Forecasters are warning of catastrophic flooding, landslides and extensive damage.
Deutsche Welle - Science - 1 day ago
What to know about storm surge dangers as Hurricane Melissa nears Jamaica
ABC News - US News - 1 day ago
Hurricane Melissa: 'Jamaica faces its most destructive storm yet'
Evening Standard - Opinion - 2 days ago
Hurricane Melissa is on its way to Jamaica as a Category 5 storm. It's expected to bring torrential rains and catastrophic flooding.
Deutsche Welle - Science - 2 days ago
Hurricane Melissa bears down on Jamaica as possibly the island's strongest recorded storm
New York Daily News - World - 2 days ago
This is only the second time we’ve had more than two Category 5 storms in a single Atlantic hurricane season
Scientific American - Environment - 2 days ago
Hurricane Melissa Could Make 3 Landfalls in 3 Days, Ravaging the Caribbean
Gizmodo - Technology - 2 days ago
Melissa set to be the strongest hurricane to ever strike Jamaica
Storm reached sustained winds of 160 mph on Monday morning.
Ars Technica - Science - 2 days ago
Weather -- Category 5 Hurricane Melissa Will Drop Catastrophic Amounts of Rain on Jamaica
Melissa is a Category 5 major hurricane and moving relatively slow—a brutal combination that will drench some parts of Jamaica with up to 40 inches of rain
Scientific American - Environment - 2 days ago
Hurricane Melissa threatens catastrophic flooding in Jamaica and Haiti
Expected to make landfall in Jamaica on Monday evening or Tuesday morning, Hurricane Melissa is forecast to become a Category 5 hurricane, making it the strongest storm on record for the Caribbean island nation,
Euronews - Environment - 2 days ago
Apple Valley News Now - US News - 2 days ago
Hurricane Melissa strengthens to Category 5 storm: NHC
Washington: Hurricane Melissa strengthened Monday to the maximum Category 5, the US National Hurricane Center said while warning of catastrophic floo...
Peninsula Qatar - US News - 2 days ago
Melissa has turned into a Category 5 storm as it heads for Jamaica and other parts of the Caribbean.
Melissa has turned into a Category 5 storm as it heads for Jamaica and other parts of the Caribbean. It is expected to cause torrential downpours and catastrophic flooding.
Deutsche Welle - Science - 2 days ago
Daily Mail - Science - 2 days ago
Daily Mail - Science - 2 days ago
Hurricane Melissa 'rapidly intensifies' as holiday spot braces for huge 25in of rain
Daily Express - World - 2 days ago
Hurricane Melissa threatens catastrophic flooding in Jamaica, Haiti and Cuba
NPR - US News - 2 days ago
Category 4 Hurricane Melissa threatens catastrophic flooding in Jamaica and Haiti
The Baltimore Sun - Politics - 2 days ago
Melissa is now a Category 4 hurricane and could intensify to a Category 5 as it nears Jamaica
The Baltimore Sun - US News - 2 days ago
Hurricane Melissa may hit Category 5, inundate northern Caribbean
New York Daily News - World - 2 days ago
Watch a live tracker of Hurricane Melissa as it moves toward Jamaica and Southeastern Cuba.
NBC News - Business - 3 days ago
Hurricane Melissa strengthens as it crawls toward Jamaica
Kingston, Jamaica: Hurricane Melissa was cutting a deadly path through the Caribbean on Sunday, strengthening into a Category 4 storm as it crawled al...
Peninsula Qatar - US News - 3 days ago
Hurricane Melissa rapidly strengthens to Category 4 storm
Hurricane Melissa rapidly intensified into a potentially catastrophic storm in the Caribbean overnight, U.S. forecasters warned early Sunday.
CBC News - World - 3 days ago
US East Coast on high alert as deadly Storm Melissa threatens several states with pounding waves
Daily Mail - Science - 5 days ago
Daily Mail - Science - 5 days ago
Daily Mail - Science - 7 days ago
Fighting to repair your home after hurricanes Helene and Milton? We want to hear from you
Tampa Bay Times - Environment - 16 days ago
Tampa Bay in for first cooldown in months. What it means for hurricanes
Tampa Bay Times - Environment - 19 days ago
La Nina is back, but it's weak and may be brief. Will it still amp up the Atlantic hurricane season?
The San Diego Union-Tribune - Environment - 20 days ago
Florida county battered by 2024 hurricanes spends $125M on beach restoration
The San Diego Union-Tribune - Environment - 21 days ago
From wreckage to resilience: Bolstering Barbados' fishing industry against hurricane impacts
Without proper support, fishery-dependent communities may fail to recover, leading to declining employment, food security, and biodiversity.
Global Voices - Environment - 23 days ago
Christian Science Monitor - Science - 1 month ago
Are You Still Rebuilding After Hurricane Helene? We Want to Hear From You.
We want to hear from North Carolinians whose homes were damaged or destroyed to better understand how well the state housing recovery program, RenewNC, is working for those who need it.
ProPublica - Top Stories - 1 month ago
North Carolina family still recovering a year after Hurricane Helene destroyed home
The Keele family looks back on the past year since their Western North Carolina home was destroyed by Helene after the hurricane turned tropical storm ravaged the region.
Fox News - Environment - 1 month ago
Hurricane Helene hit the reset button on one town's goal of becoming an outdoor tourism mecca
The San Diego Union-Tribune - Environment - 1 month ago
Hurricane Helene hit North Carolina a year ago. Some students never returned to school
The San Diego Union-Tribune - Environment - 1 month ago
Life in the Time of Hurricanes
Texas Observer - Environment - 1 month ago
Salvation Army reveals how Hurricane Katrina changed disaster relief operations forever
Twenty years after Hurricane Katrina, nonprofits like the Salvation Army continue long-term recovery efforts in New Orleans using community-focused disaster relief strategies.
Fox News - Environment - 2 months ago
Hurricane Katrina survivors share stories of perseverance 20 years after deadly storm
Twenty years after Hurricane Katrina, a Salvation Army captain reflects on his dangerous rescue mission and how tragedy led him to find purpose in helping others.
Fox News - Environment - 2 months ago
Christian Science Monitor - Environment - 2 months ago
Christian Science Monitor - Environment - 2 months ago
Is New Orleans Safer Now Than When Hurricane Katrina Hit 20 Years Ago?
Scientists and engineers have been implementing steps to better protect New Orleans, but recent government actions are undermining the work, raising alarm
Scientific American - Opinion - 2 months ago
Hurricane Erin prompts beach closures and emergency declarations across multiple states
Hurricane Erin is bringing 100 mph winds and dangerous rip currents to coastal towns, prompting beach closures and tropical storm warnings from North Carolina to Virginia.
Fox News - Environment - 2 months ago
The Conversation - Environment - 2 months ago
“When I think about the theme artist title, I don’t think about being the first Black anything. [It's] about telling Althea Gibson’s story...she’s the blueprint for Black women in tennis.”
Global Voices - Sports - 2 months ago
As with 2024’s Hurricane Beryl, forecasters have commented on Erin’s speedy acceleration from tropical storm to hurricane, which studies are linking to climate change.
Global Voices - World - 2 months ago
Western North Carolina residents head to court Monday in a fight against an "illegal" mine that swept into the mountains in the wake of Hurricane Helene.
Fox News - Environment - 2 months ago
Miami New Times - Environment - 2 months ago
Some Texas Officials Didn't Respond to Flood Alerts, Echoing the Tragedies of Hurricane Helene
Weather warnings predicted devastation from both the Texas floods and Hurricane Helene. But in both disasters, people were left in harm’s way.
ProPublica - Environment - 3 months ago
The cutoff was initially set for June 30. Instead, it now comes near the peak of hurricane season.
Miami New Times - Environment - 3 months ago
After four months of reporting, ProPublica found that the warnings about Helene were eerily accurate. Yet, local residents remained largely unaware of the enormity of danger approaching as the storm closed in.
ProPublica - Environment - 5 months ago
Andrea, Jerry, Wendy: Here's what hurricanes will be named in 2025
Business Insider - Science - 5 months ago
How Do You Stop a Hurricane Made of Fire?
California fights wildfires like wars, but this one may be unwinnable.
New York Magazine - Opinion - 9 months ago
Even as some social media users focused on “hurricane history” being made, Caribbean netizens were feeling deeply anxious.
Global Voices - Science - 1 year ago
Daily Mail - Opinion - 1 year ago
Hurricane Harvey, 1 Year Later: Harrowing Images From Before and After
Inside Edition - US News - 1 year ago
How the Devastation of Hurricane Ida Is Still Being Felt in Parts of Louisiana
Inside Edition - US News - 1 year ago
Weather experts may be fascinated by Beryl's exceptionality, but those who have been routinely battered fear that all the factors that make Beryl stand out may well become the norm.
Global Voices - Science - 1 year ago
Slideshow: Worst hurricanes in US history
ABC News - US News - 6 years ago