Thursday, October 30, 2025 7:56 PM ET
CBS News - Top Stories - 1 minute ago
Live: Islanders vs. Hurricanes
ESPN - Sports - 9 minutes ago
 
    Jamaica dealing with massive devastation from Hurricane Melissa
After Hurricane Melissa destroyed entire towns in Jamaica, emergency crews are still working to clear roads into the hardest hit areas. Commercial flights have begun taking off, but thousands of tourists are still trying to get home. NBC News’ George Solis reports from Montego Bay.
NBC News - World - 47 minutes ago
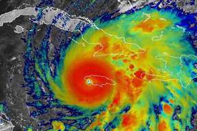
SEE IT: -- Before & after satellite imagery reveals Hurricane Melissa's destruction
Fox News - Top Stories - 59 minutes ago
Nonprofits in Mattapoisett and Worcester have answered the call to provide aid to Caribbean islands devastated by the category 5 hurricane.
Boston Globe - Top Stories - 59 minutes ago
BBC News - World - 1 hour ago
 
    Hurricane Melissa: 'It feels like a total reset'
'I never in a million years thought that I would be in this situation,' Sheree Mcleod told Sky News' US Correspondent Martha Kelner.
Sky News - Top Stories - 1 hour ago
The Conversation - US News - 1 hour ago
The Conversation - Environment - 1 hour ago
Haiti, Jamaica, and Cuba pick up the pieces after Melissa's destruction
Boston Globe - Top Stories - 1 hour ago
 
    
Hurricane Melissa brought heavy rains and gusty winds to the Bahamas after hitting Jamaica and Cuba and was beginning to eye Bermuda, forecasters said.
CBS News - Top Stories - 1 hour ago
 
    Feds announce $7M for Hurricane Melissa relief in Caribbean countries -- Politics
The MP overseeing Canada's foreign aid announced $7 million in humanitarian relief for Caribbean states hit by Hurricane Melissa on Thursday.
CBC News - Politics - 1 hour ago
 
    
An outside view showed cloudy blue skies off to the side of the aircraft while the crew plowed into the heart of Hurricane Melissa, which had wreaked havoc throughout the Caribbean islands.
New York Post - Top Stories - 1 hour ago
Hurricane Melissa devastates Caribbean, picks up speed toward Bermuda
The Straits Times - World - 1 hour ago
 
    
An outside view showed cloudy blue skies off to the side of the aircraft while the crew plowed into the heart of Hurricane Melissa, which had wreaked havoc throughout the Caribbean islands.
New York Post - World - 1 hour ago
Boston Globe - Business - 1 hour ago
No. 9 Hurricanes haven't faced SMU in 60 years, but the Mustangs are a familiar foe
Orlando Sentinel - Sports - 1 hour ago
Before and after: Satellite images reveal hurricane devastation in Jamaica
BBC News - Top Stories - 1 hour ago
Hurricanes land local five-star basketball prospect Caleb Gaskins
Orlando Sentinel - Sports - 3 hours ago
 
    Caribbean nations start rebuilding after Hurricane Melissa thrashes islands killing at least 30
Hurricane Melissa is now passing over the Bahamas and is expected to hit Bermuda Thursday evening
Independent UK - Top Stories - 3 hours ago
Government Charters Flights to Help Britons Leave Jamaica After Hurricane
Epoch Times - World - 3 hours ago
Hurricane Melissa heads to Bermuda as relief efforts intensify in Jamaica
Guardian UK - World - 3 hours ago
 
    Ottawa Announces $7 Million for Hurricane Melissa Relief in Caribbean Countries
Epoch Times - World - 3 hours ago
Rubio Says US Ready to Send Humanitarian Aid to Hurricane-Hit Cuba
Hurricane Melissa made landfall on the island’s eastern end as a Category 3 storm.
Epoch Times - World - 3 hours ago
 
    Phony AI-generated videos of Hurricane Melissa flood social media sites
New York Daily News - World - 4 hours ago
CBC News - World - 4 hours ago
Sean Paul Matching Hurricane Melissa Relief Donations After Jamaica Storm: 'We Need Help'
Sean Paul pleads with his followers to help donate to Hurricane Melissa relief efforts after the same ravaged his native Jamaica.
Rolling Stone - Top Stories - 4 hours ago
Euronews - World - 4 hours ago
 
    Latin America -- Recovery begins as islands count the dead and cost of Hurricane Melissa
The rumble of large machinery, whine of chainsaws and chopping of machetes echoed through communities across the northern Caribbean on Thursday as they dug...
Independent.ie - Top Stories - 4 hours ago
 
    Feds announce $7M for Hurricane Melissa relief in Caribbean countries -- Dylan Robertson
The MP overseeing Canada's foreign aid announced $7 million in humanitarian relief for Caribbean states hit by Hurricane Melissa on Thursday.
CBC News - World - 4 hours ago
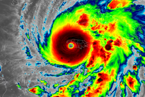
Hurricane Melissa: How Devastating Is the 'Storm of the Century'?
Newsweek - Top Stories - 4 hours ago
Hurricane Melissa traps Rich Township worker in Jamaica in 'life or death scenario'
Chicago Tribune - Health - 4 hours ago
 
    Recovery begins as islands count the dead and cost of Hurricane Melissa
The rumble of large machinery, whine of chainsaws and chopping of machetes echoed through communities across the northern Caribbean on Thursday as they dug...
Independent.ie - World - 5 hours ago
At least 34 dead as Hurricane Melissa wreaks havoc in Bahamas: Live
Bermuda closed down its schools and ferries ahead of the storm’s impact Thursday night
Independent UK - US News - 5 hours ago
Hurricane Melissa live updates: No official death toll in Jamaica
ABC News - Top Stories - 5 hours ago
BBC News - Science - 5 hours ago
Hurricane Melissa set to trigger $150 million Jamaica catastrophe bond
CNBC - Top Stories - 5 hours ago
 
    Jamaica reels as Hurricane Melissa leaves behind devastation
As Hurricane Melissa continues its trail of death and devastation through the Caribbean, Jamaica is taking stock. With over 75% of the country without power and $22 billion in damage, experts estimate recovery could take a decade.
Deutsche Welle - Environment - 5 hours ago
Entire communities demolished in direct hit from Hurricane Melissa: Officials
ABC News - Top Stories - 5 hours ago
Jamaica: Before and after hurricane
Sky News - Top Stories - 6 hours ago
 
    Turbulence in the eye of Hurricane Melissa
The National Oceanic and Atmospheric Administration captured video aboard one of its planes near the storm's eye.
Sky News - Top Stories - 6 hours ago
Couple trapped in Jamaican hotel after 'apocalyptic' hurricane Melissa
Evening Standard - Top Stories - 6 hours ago
Hurricanes adding more receivers to the mix as they get deeper in ACC play
Orlando Sentinel - Sports - 6 hours ago
 
    Hurricane Melissa leaves trail of death, destruction across Cuba, Haiti and Jamaica
Hurricane Melissa left at least dozens dead and caused widespread destruction across Cuba, Haiti, and Jamaica.
New York Post - World - 6 hours ago
 
    What makes Melissa such a dangerous storm?
Melissa's 185 mph winds at landfall means it could eclipse all storms the island has experienced before.
BBC News - Science - 6 hours ago
Satellite images taken before and after Hurricane Melissa show the destruction it wreaked on Jamaica
Business Insider - US News - 6 hours ago
 
    
Secretary of State Marco Rubio pledges "immediate humanitarian aid" to Cuba as State Department responds to effects of Hurricane Melissa in the Caribbean.
Fox News - Politics - 6 hours ago
Hurricane Melissa Was So Strong That It Shook the Earth Hundreds of Miles Away
Seismometers picked up the ferocious winds and waves of Hurricane Melissa, showing how the tools can be used to better understand storms today and those from the past
Scientific American - Top Stories - 6 hours ago
Natural Disasters -- Hurricane Melissa Was So Strong That It Shook the Earth Hundreds of Miles Away
Seismometers picked up the ferocious winds and waves of Hurricane Melissa, showing how the tools can be used to better understand storms today and those from the past
Scientific American - Science - 6 hours ago
BBC News - Science - 6 hours ago
BBC News - Science - 6 hours ago
'The Storm Feels Personal': Jamaica's Reggae Community Grapples with Melissa's Aftermath
Rolling Stone - Top Stories - 7 hours ago
 
    Hurricane Melissa hit areas vulnerable to landslides because of deforestation
Toronto Star - World - 7 hours ago
 
    Drone footage shows Hurricane Melissa devastation in Jamaica
Aerial footage shows homes destroyed in Jamaica following the passage of Hurricane Melissa. (Credit: APTN)
Fox News - World - 7 hours ago
Terrifying moment plane is hurled around as it flies straight into the eye of Hurricane Melissa
Daily Mail - World - 7 hours ago
 
    Aerial footage shows absolute devastation in Black River, Jamaica after Hurricane Melissa
Helicopter footage captures the catastrophic aftermath in Black River, Jamaica — the town Prime Minister Andrew Holness called “ground zero” of Hurricane Melissa. Nearly every building was...
New York Post - Top Stories - 8 hours ago
 
    What's the impact of Hurricane Melissa?
The wrath of Hurricane Melissa has left Jamaica battered and bruised, causing more than £5.8 billion in damage.
Sky News - Top Stories - 8 hours ago
Jamaica's tourist resorts and ports could face a long recovery from hurricane
Orlando Sentinel - Business - 8 hours ago
Britons fear for loved ones in devastated Jamaica after hurricane
Independent UK - US News - 8 hours ago
 
    Hurricane Melissa causes widespread destruction across the Caribbean
Dominican Today - Top Stories - 8 hours ago
Watch: 'Hurricane Hunters' fly into the eye of a 185mph storm
Independent UK - US News - 9 hours ago
 
    Video: Miami Meteorologist Shaken by Hurricane Melissa Intensification
Miami New Times - US News - 9 hours ago
 
    
Hurricane Melissa made landfall along Jamaica's southwestern coast Tuesday as an extremely powerful Category 5 storm.
CBS News - Top Stories - 9 hours ago
'Love will prevail': Woman scrambles to save wedding date after Hurricane Melissa cancels plans
A West Michigan woman is scrambling to save hers after Hurricane Melissa, which has strewn death and widespread devastation on its path through the Caribbean, dashed her best laid plans for a destination wedding.
CTV News - Politics - 9 hours ago
 
    Climate change made Hurricane Melissa four times more likely, say scientists
It was one of the most powerful hurricanes ever recorded - and climate change increased it's intensity, analysis suggests.
Sky News - Technology - 9 hours ago
 
    Cat. 2 Hurricane Melissa to bring stormy weather to Bermuda before weakening more at sea
The Advocate - Top Stories - 9 hours ago
Melissa's circulation to cause rainfall in border and Northwest regions
Dominican Today - Top Stories - 10 hours ago
 
    My four children are 'gone': Hurricane Melissa hits Haiti
At least 25 people have been killed in Haiti after Hurricane Melissa struck the island, destroying dozens of homes.
Sky News - World - 10 hours ago
Hurricane Melissa approaches Bahamas
Sky News - World - 10 hours ago
In photos: Hurricane Melissa hits Cuba hours after devastating Jamaica -- Gallery -- Yesterday
Hurricane Melissa slammed into Cuba early on Wednesday, hours after causing devastation in neighboring Jamaica as the strongest-ever storm on record to hit that Caribbean island nation.
The Globe and Mail - World - 10 hours ago
In photos: Hurricane Melissa smashes through Caribbean, accelerates towards Bermuda -- Gallery
The Globe and Mail - World - 10 hours ago
Hurricane Melissa smashes through Caribbean, accelerates towards Bermuda
Dawn - Top Stories - 10 hours ago
 
    How did Hurricane Melissa become a 'beast of a storm'?
When Melissa came ashore, it tied strength records for Atlantic hurricanes making landfall, both in wind speed and barometric pressure, a key measurement used by meteorologists.
Euronews - Environment - 10 hours ago
Daily Mail - Health - 10 hours ago
 
    Jamaican fishing village reduced to rubble after Hurricane Melissa
Drone footage captured how a Jamaican fishing village was reduced to rubble in damage caused by Hurricane Melissa. Aerial video of Alligator Pond from Wednesday (October 29) shows how boats, homes, and other buildings close to the coast were impacted after the category 5 storm made landfall with sustained winds of 185mph. The death toll has continued to rise as the hurricane, which has now weakened to category 2, moves across the Bahamas and is expected to pass near Bermuda.
Independent UK - US News - 11 hours ago
 
    Hurricane Melissa leaves a recovery challenge for the Caribbean after more than 30 dead
The storm was making its way to the Bahamas and Bermuda on Thursday morning as Jamaica confronted the devastation from one of the most potent storms ever recorded anywhere.
NBC News - Top Stories - 11 hours ago
 
    
People across the northern Caribbean were digging out from the destruction of Hurricane Melissa on Thursday as deaths from the catastrophic storm climbed.
CBS News - World - 11 hours ago
UK charters flights to help transport British nationals out of Jamaica following Hurricane Melissa
Sky News - Top Stories - 11 hours ago
 
    Climate & Environment -- Video: Miami Meteorologist Shaken by Hurricane Melissa Intensification
Miami New Times - Top Stories - 11 hours ago
Government sends heavy equipment to restore farmlands affected by Storm Melissa
Dominican Today - Top Stories - 11 hours ago
Daily Mail - Science - 11 hours ago
 
    Video: Devastation in Cuba as Hurricane Melissa flattens homes
Hurricane Melissa slammed into Cuba destroying homes, flooding neighbourhoods and cutting off entire communities.
Aljazeera - Environment - 12 hours ago
Hurricane Melissa picks up speed as it moves towards Bermuda
Storm, now measured as category 1, moves northeast through the Bahamas
Irish Times - World - 12 hours ago
 
    
Apple Valley News Now - US News - 12 hours ago
 
    The deadly combination that made Hurricane Melissa so devastating
Hurricane Melissa is sweeping through the Caribbean, wreaking havoc in Jamaica, Cuba and the Bahamas
Independent UK - US News - 12 hours ago
Satellite imagery shows Jamaica before and after hurricane devastation
Independent UK - US News - 12 hours ago
Daily Mail - Science - 13 hours ago
Daily Mail - Science - 13 hours ago
Daily Mail - World - 13 hours ago
Hurricane Melissa floods homes in Haiti
Displaced Haitians in capital Port-au-Prince saw their makeshift homes and tents flooded after Hurricane Melissa brought heavy rains.
The Globe and Mail - World - 13 hours ago
Jamaicans recount battle to survive Hurricane Melissa
The Globe and Mail - Top Stories - 13 hours ago
Daily Mail - Top Stories - 13 hours ago
Dozens dead as 'unprecedented' Hurricane Melissa rips through Caribbean
Sky News - Top Stories - 13 hours ago
What we know about the hurricane that has killed dozens in the Caribbean
Sky News - World - 13 hours ago
 
    Islands across Caribbean left reeling from Hurricane Melissa aftermath
Dramatic video shows how Hurricane Melissa wreaked havoc across Jamaica, Cuba, and Haiti this week. The powerful storm made landfall in Jamaica, registering as a category 5 hurricane. Authorities in Haiti said at least 25 people, including children, have been killed. In Jamaica, eight deaths have been confirmed, while one fatality has been reported in the Dominican Republic, bringing the current known death toll across the Caribbean to 34.
Independent UK - US News - 13 hours ago
 
    Where will Hurricane Melissa head after devastating Cuba and Jamaica?
Storm is ravaging the Caribbean after leaving widespread destruction across the Bahamas, Cuba, Haiti and Jamaica
Independent UK - US News - 14 hours ago
Daily Mail - World - 15 hours ago
 
    Hurricane Melissa leaves dozens dead and homes destroyed
The ‘storm of a century’ has torn through the Caribbean, with dozens of people killed
Independent UK - US News - 15 hours ago
Hurricane Melissa in pictures: Wrecked livelihoods, lost animals, salvaged homes
Three Caribbean Islands have been crippled by Hurricane Melissa
Irish Times - World - 16 hours ago
Haiti, Jamaica and Cuba pick up the pieces after Melissa's destruction
ABC News - World - 16 hours ago
Melissa hits Jamaica, the strongest Hurricane on record| Vantage With Palki Sharma
First Post - Top Stories - 16 hours ago
Haiti, Jamaica and Cuba pick up the pieces in wake of Hurricane Melissa
The Globe and Mail - World - 17 hours ago
Devastation from Hurricane Melissa is 'unprecedented', says UN coordinator in Jamaica
The U.N. said Wednesday that Hurricane Melissa had left 'tremendous unprecedented devastation' in Jamacia and called on nations to help support the country in its recovery.
The Globe and Mail - World - 17 hours ago
Independent.ie - Top Stories - 18 hours ago
Independent.ie - Top Stories - 18 hours ago
 
    The complex, deadly combination that turned Hurricane Melissa into a real monster
Experts say that Hurricane Melissa’s powerful winds and its slow pace, likely exacerbated by climate change, have allowed the huge storm to linger in the C...
Independent.ie - Opinion - 18 hours ago
Independent.ie - World - 18 hours ago
 
    Analysis -- The complex, deadly combination that turned Hurricane Melissa into a real monster
Experts say that Hurricane Melissa’s powerful winds and its slow pace, likely exacerbated by climate change, have allowed the huge storm to linger in the C...
Independent.ie - World - 18 hours ago
Euronews - World - 18 hours ago
 
    
Hurricane Melissa made landfall Tuesday in Jamaica as a fearsome Category 5 storm. Forecasters said it could be the island's "storm of the century."
CBS News - Science - 18 hours ago
Satellite images reveal Jamaica devastation as Melissa tears through Cuba
The monster storm has caused widespread destruction, where roofless homes, fallen utility poles and water-logged furniture dominated the landscape.
Sydney Morning Herald - World - 19 hours ago
U.S. is sending dozens of relief workers to help in areas hit by Hurricane Melissa
Los Angeles Times - World - 20 hours ago
 
    Hurricane Melissa floods and destroys towns across Caribbean
At least four people in Jamaica are confirmed dead and at least 20 people have died in Haiti flooding.
BBC News - Top Stories - 21 hours ago
Daily Express - World - 22 hours ago
 
    At least 30 dead as Hurricane Melissa unleashes its wrath across Caribbean
HAVANA/KINGSTON: Hurricane Melissa roared through the Caribbean on Wednesday after pounding Cuba’s second-largest city, cutting off hundreds of rural communities, devastating Jamaica, and...
International The News - World - 22 hours ago
Climate change made Hurricane Melissa four times more likely: Study
The Straits Times - World - 23 hours ago
Hurricane Melissa is a warning – why violent storms are increasingly catching the world off guard
The Conversation - World - 23 hours ago
 
    Hurricane Melissa brings concern, pride for Chicagoans with ties to the Caribbean
The storm left widespread destruction and at least dozens of deaths in its path. In Chicago, people are looking for ways to help.
Chicago Sun-Times - US News - 1 day ago
 
    Meteorologist Has Mortifying On-Camera Moment While Flying Through Eye Of Hurricane Melissa
“I think my television career has peaked,” Matthew Cappucci joked after the experience.
Huffington Post - World - 1 day ago
 
    Hurricane Melissa leaves trail of destruction across Cuba, Haiti and Jamaica
The Mercury News - Top Stories - 1 day ago
Hurricane Melissa kills over two dozen in Caribbean after catastrophic landfalls in Jamaica, Cuba
Fox News - Top Stories - 1 day ago
 
    UK providing £2.5m in humanitarian support to Jamaica after Hurricane Melissa
UK experts have also been deployed to the region to assist with the disaster response and recovery.
Evening Standard - Politics - 1 day ago
Efforts underway in Jamaica to get supplies on ground after Hurricane Melissa
ABC News - World - 1 day ago
Tampa Bay groups mobilize to help Jamaicans hit by Hurricane Melissa
Tampa Bay Times - Top Stories - 1 day ago
 
    Hundreds of thousands evacuate as Hurricane Melissa hits eastern Cuba
SANTIAGO DE CUBA: Hundreds of thousands of people were evacuated in eastern Cuba, and a hurricane warning was in effect for the provinces of Granma, Santiago de Cuba, Guantanamo, Holguin and Las Tunas as
Channel NewsAsia - World - 1 day ago
 
    Path of destruction left by Hurricane Melissa
'The damage is great, but we are going to devote all our energy to mount a strong recovery,' the prime minister of Jamaica wrote.
Sky News - Top Stories - 1 day ago
Hurricane Melissa's 185mph path of destruction devastates Jamaica
Independent UK - US News - 1 day ago
 
    Hurricane Melissa leaves a trail of destruction in Jamaica; Cuba prepares for impact
Tulsa World - Opinion - 1 day ago
Euronews - World - 1 day ago
 
    
Hurricane Melissa has left dozens dead and widespread destruction across Jamaica, Haiti and Cuba, as it continues to threaten the Bahamas and Bermuda.
CBS News - Science - 1 day ago
Weather -- Is It Time to Classify Hurricanes as Category 6?
Scientific American - Environment - 1 day ago
Times of India - Sports - 1 day ago
Hurricane Melissa devastates Jamaica, makes its way through Cuba -- Opens in new window
Hurricane Melissa intensified to Category 5 strength Monday as it neared Jamaica, where forecasters said it would unleash catastrophic flooding, multiple landslides and extensive infrastructure damage.
CTV News - Top Stories - 1 day ago
Hurricane Melissa kills 25 in Haiti after leaving widespread damage in Jamaica
Cuban president warns storm would cause ‘significant damage’ as 735,000 people evacuated in country’s east
Irish Times - World - 1 day ago
 
    Dozens killed as Hurricane Melissa ravages Cuba, Haiti, Jamaica
Hurricane Melissa left a deadly trail across Cuba, Haiti, and Jamaica, killing dozens and causing massive destruction as residents faced roofless homes,...
Daily Sabah - World - 1 day ago
 
    Falcons owner Arthur Blank donates $2.5 million to Hurricane Melissa relief funds
Arthur Blank, owner of the Atlanta Falcons, has pledged an initial $2.5 million through his foundation to aid Hurricane Melissa relief efforts across Jamaica and the Caribbean.
Fox News - Environment - 1 day ago
US rescue teams to descend on hard-hit Caribbean after catastrophic Hurricane Melissa's impact
Fox News - Environment - 1 day ago
 
    
The devastating hurricane hit Jamaica and Haiti before barreling across Cuba.
New York Magazine - Top Stories - 1 day ago
The new face of major hurricanes
NBC News - World - 1 day ago
 
    Shocking images show devastation Hurricane Melissa reaped on Jamaica
Up to 8,000 British citizens on Caribbean island as ‘storm of the century’ causes catastrophic winds and flash flooding
Evening Standard - World - 1 day ago
 
    Hurricane Melissa leaves dozens dead in trail of destruction across Cuba, Haiti and Jamaica
The Denver Post - Environment - 1 day ago
 
    
Apple Valley News Now - World - 1 day ago
Government launches support plan for farmers affected by Storm Melissa
Dominican Today - Top Stories - 1 day ago
 
    
Fierce winds ripped roofs from buildings, and massive boulders crashed down onto roads, cutting off access across the region.
Euronews - World - 1 day ago
 
    Hurricane Melissa: 25 dead in Haiti floods; river bursts banks, homes swept away
Times of India - World - 1 day ago
Business Insider - US News - 1 day ago
Powerful Hurricane Melissa Makes Landfall in Jamaica and Cuba
An incredibly powerful hurricane swept through Jamaica on Tuesday, leaving flooding and destruction in its wake. Hurricane Melissa was a Category 5 storm – and was reported to be the strongest storm ever to hit the island nation.
Inside Edition - US News - 1 day ago
Powerful Hurricane Melissa Makes Landfall in Jamaica and Cuba -- News
An incredibly powerful hurricane swept through Jamaica on Tuesday, leaving flooding and destruction in its wake. Hurricane Melissa was a Category 5 storm – and was reported to be the strongest storm ever to hit the island nation.
Inside Edition - Top Stories - 1 day ago
 
    See photos, video from Jamaica after deadly Hurricane Melissa makes landfall as Cat 5
The Advocate - Top Stories - 1 day ago
 
    25 killed as Hurricane Melissa unleashes catastrophic floods in southern Haiti
ALBAWABA- At least 25 people were killed in southern Haiti after torrential rains from Hurricane Melissa triggered catastrophic flooding, submerging ent
Albawaba - World - 1 day ago
 
    After Ravaging Jamaica, Hurricane Melissa Isn't Done Yet. Here's What's Next
Gizmodo - Technology - 1 day ago
 
    After battering Jamaica, Hurricane Melissa makes Cuba landfall
Hurricane Melissa, the strongest storm ever recorded in Jamaica, left a trail of destruction across the island before tearing into eastern Cuba on...
Daily Sabah - World - 1 day ago
 
    US State Department Sends Emergency Teams After Hurricane Melissa Hits Jamaica, Cuba
While the post did not specify which countries the response team would be deployed to, Hurricane Melissa made landfall in Jamaica as a Category 5 storm.
Epoch Times - US News - 1 day ago
Trump pledges aid as Hurricane Melissa devastates Jamaica and neighboring countries
Dominican Today - Top Stories - 1 day ago
Hurricane Melissa churns across Cuba as a Category 2 storm
Hurricane Melissa is moving across eastern Cuba as a Category 2 storm.
The Globe and Mail - World - 1 day ago
Why Hurricane Melissa turned into a supercharged monster
Apple Valley News Now - US News - 1 day ago
The Conversation - US News - 1 day ago
 
    Hurricane Melissa leaves Jamaica devastated. And, the shutdown's impact on airports
NPR - World - 1 day ago
Fox News - Top Stories - 1 day ago
Apple Valley News Now - US News - 1 day ago
 
    Hurricane Melissa slams Cuba after leaving trail of ruin in Jamaica
Hurricane Melissa slammed into Cuba early on Wednesday, hours after causing devastation in neighboring Jamaica as the strongest-ever storm on record to hit that Caribbean island nation.Melissa hit...
International The News - World - 1 day ago
In pictures: Hurricane Melissa hits Cuba after causing chaos in Jamaica
Hundreds of thousands left without power in Jamaica as hospitals are forced to evacuate
Irish Times - World - 1 day ago
 
    Live-event - Brits stranded as Hurricane Melissa hits Jamaica - 'storm of the century'
Daily Express - World - 1 day ago
 
    Be ready before storm hits: Essential hurricane preparation tips
Hurricane season can be stressful for anyone near the potential path of a storm, as powerful winds and heavy rain can cause widespread damage, cut power...
Daily Sabah - Environment - 1 day ago
 
    Maryland Jamaican community rallies as Hurricane Melissa devastates island
The Baltimore Sun - US News - 1 day ago
 
    Hurricane Melissa hits Cuba as Jamaican PM declares 'disaster area'
Cuban authorities have evacuated more than 700,000 people as Jamaica’s prime minister declares his nation a ‘disaster area’
Evening Standard - World - 1 day ago
Monster hurricane makes landfall along Cuba coast after drenching Jamaica
Hurricane Melissa is now churning toward Cuba’s second-largest city with the force of a powerful category 4 storm, hours after making landfall in neighbouring Jamaica.
Sydney Morning Herald - World - 1 day ago
 
    Aftermath of Hurricane Melissa in Jamaica
Footage shows damaged buildings after Hurricane Melissa made landfall in Jamaica.
Sky News - Top Stories - 1 day ago
 
    
Daily Express - World - 1 day ago
 
    Hurricane Melissa wreaks havoc on Jamaican airport
Footage shows wreckage left by Hurricane Melissa inside Sangster International Airport in Jamaica.
Sky News - Top Stories - 1 day ago
The Irish Independent's View: Hurricane Melissa's ferocity highlights urgent need for climate action
Independent.ie - Opinion - 1 day ago
 
    Texas honeymooners trapped in Jamaica as Category 5 Hurricane Melissa slams island
Texas newlyweds Kasydee and Hunter Bishop are trapped near Montego Bay, Jamaica, as Hurricane Melissa approaches as a Category 5 storm with 175 mph winds.
Fox News - Environment - 1 day ago
 
    Crocodiles could invade Jamaican neighborhoods in wake of Hurricane Melissa flooding, officials warn
As the record-breaking Hurricane Melissa brings destructive winds, torrential rain and aggressive storm surge across Jamaica, widespread flooding has Jamaican officials warning of another dangerous and unusual threat: crocodiles.
Fox News - Top Stories - 1 day ago
Britons tell of Hurricane Melissa ordeal - as tourists locked down in hotels
Sky News - World - 2 days ago
Hurricane Melissa is slowly moving towards Cuba
Heavy rains hit Cuba hours before Category 4 Hurricane Melissa makes landfall.
Sydney Morning Herald - World - 2 days ago
 
    Hurricane Melissa hits Jamaica with life-threatening storm surge: Live
Hurricane Melissa is now passing over the Bahamas and is expected to hit Bermuda Thursday evening
Independent UK - World - 2 days ago
 
    
Storm surges of 13 feet (3.9m) above ground level and destructive waves are expected as the storm hits Jamaica.
BBC News - World - 2 days ago
Daily Mail - Science - 2 days ago
Heart-stopping detail on live flight map near Hurricane Melissa's eye leaves viewers stunned
Daily Mail - Science - 2 days ago
Hurricane Melissa could turn US attention from 'drug boats' to aid
Independent UK - World - 2 days ago
Category 5 Hurricane Melissa brings flooding and catastrophic winds to Jamaica
Tampa Bay Times - World - 2 days ago
 
    
The Navy has evacuated 864 family members, civilian employees, and contractors from Naval Station Guantánamo Bay as Hurricane Melissa powers toward the Caribbean as a Category 5 storm.
Military.com - Top Stories - 2 days ago
 
    Navy Confirms Evacuations As Hurricane Melissa Roared Toward The Caribbean
The Navy has evacuated 864 family members, civilian employees, and contractors from Naval Station Guantánamo Bay as Hurricane Melissa powers toward the Caribbean as a Category 5 storm.
Military.com - US News - 2 days ago
The Conversation - US News - 2 days ago
Watch: Hurricane Melissa peels back roofs from homes in Black River, Jamaica
Fox News - Top Stories - 2 days ago
 
    Air Force Videos Capture the Eye of Hurricane Melissa as Catastrophic Storm Hits Jamaica
Gizmodo - Technology - 2 days ago
 
    Hurricane Melissa makes landfall in Jamaica with 185mph winds
Britons urged to alert Foreign Office of presence on island as ‘trillions of gallons’ of water set to fall amid power cuts
Independent UK - World - 2 days ago
Weather -- Hurricane Melissa Images Reveal a Monster Storm for the Record Books
These images of Hurricane Melissa show the Category 5 storm in all its power
Scientific American - Environment - 2 days ago
 
    Monster Hurricane Melissa makes landfall in Jamaica
Ferocious winds and torrential rain tore into Jamaica on Tuesday as Hurricane Melissa made landfall, the worst storm ever to strike the island nation and one of the most powerful hurricanes on...
International The News - World - 2 days ago
Melissa strikes Jamaica, tied as most powerful Atlantic storm to come ashore
Ars Technica - Science - 2 days ago
Weather -- How Hurricane Melissa Became One of the Most Intense Atlantic Storms on Record
A nearly perfect alignment of factors has enabled Hurricane Melissa to become one of the most intense Atlantic storms ever recorded
Scientific American - Environment - 2 days ago
BBC News - Technology - 2 days ago
Hurricane Melissa Is Most Powerful Storm To Hit Jamaica In 174 Years
Parts of the Caribbean are battening down and preparing for an historic weather event. Hurricane Melissa is a Category 5 storm, and the National Hurricane Center says its wind speeds reach up to 180 mph.
Inside Edition - US News - 2 days ago
 
    Video From A Plane Inside Hurricane Melissa Confirms You Don't Want To Be There
The record-breaking storm was expected to make landfall in Jamaica Tuesday morning.
Huffington Post - Science - 2 days ago
 
    Former Miss Jamaica UK fearful as deadly Hurricane Melissa nears
Cherelle Mukoko tries to remain calm from home in London as most powerful storm world has seen this year threatens family
Evening Standard - World - 2 days ago
When a hurricane threatens, these tips can help you prepare
The Baltimore Sun - US News - 2 days ago
53rd Weather Reconnaissance Squadron plane flies into eye of Hurricane Melissa
Army Times - Top Stories - 2 days ago
Daily Mail - Science - 2 days ago
 
    Messaging through Hurricane Melissa
I know what's happening on the ground in Jamaica thanks to WhatsApp — ordinarily, a quick and convenient means of staying in touch; under threat of natural a disaster, a lifeline.
Global Voices - Environment - 2 days ago
UK nationals in Jamaica given new update as Hurricane Melissa looms
Independent UK - Politics - 2 days ago
Jamaica prepares for Melissa; Dodgers take World Series lead | Hot off the Wire podcast
Tulsa World - Top Stories - 2 days ago
 
    Hurricane Melissa latest: Jamaica braces for 'storm of the century'
Hurricane Melissa, the most powerful hurricane of the year so far, is hurtling towards Jamaica and is expected to make landfall soon
Evening Standard - World - 2 days ago
 
    Arrival of new U.S. Ambassador to the Dominican Republic postponed due to Hurricane Melissa
Dominican Today - Entertainment - 2 days ago
Daily Mail - Science - 2 days ago
Apple Valley News Now - US News - 2 days ago
 
    Video: Plane flies through world's strongest storm, Hurricane Melissa
Forecasters say the Category 5 storm, Hurricane Melissa is set to be Jamaica’s most destructive on record.
Aljazeera - Environment - 2 days ago
Daily Express - Politics - 2 days ago
 
    
Daily Express - World - 2 days ago
Es probable que la tormenta de categoría 5, que se prevé sea la peor en la historia de Jamaica, tenga efectos catastróficos y consecuencias nefastas para el Caribe, ya que más de 25 millones de personas en Jamaica, Cuba y Haití se encuentran en la trayectoria directa del huracán Melissa.
One America News Network - Top Stories - 2 days ago
Melissa's wrath: Jamaica hit by strongest storm in its history amid mass evacuations
Hurricane Melissa surged with sustained winds of 175 mph on Monday, a slow-moving Category 5 storm hurtling toward Jamaica, threatening to become the strongest hurricane ever recorded on the...
International The News - World - 2 days ago
 
    Jamaica Cowers as Category 5 Melissa Bears Down, Supercharged by Warming Seas
Mother Jones - Environment - 2 days ago
The Conversation - US News - 2 days ago
Weather -- Why Hurricane Melissa Could Be the Worst Storm to Ever Hit Jamaica
Category 5 Hurricane Melissa’s exceptional strength and slow pace could make it more destructive than Hurricane Gilbert, which hit Jamaica in 1988
Scientific American - Environment - 3 days ago
 
    
With sustained winds of 260 kilometers per hour, Melissa is expected to make landfall early on Tuesday. Mandatory evacuation orders have been issued for several parts of the island and residents are being told to head to shelters. Forecasters are warning of catastrophic flooding, landslides and extensive damage.
Deutsche Welle - Science - 3 days ago
 
    Hurricane Melissa: 'Jamaica faces its most destructive storm yet'
Evening Standard - Opinion - 3 days ago
 
    
Hurricane Melissa is on its way to Jamaica as a Category 5 storm. It's expected to bring torrential rains and catastrophic flooding.
Deutsche Welle - Science - 3 days ago
 
    Hurricane Melissa bears down on Jamaica as possibly the island's strongest recorded storm
New York Daily News - World - 3 days ago
This is only the second time we’ve had more than two Category 5 storms in a single Atlantic hurricane season
Scientific American - Environment - 3 days ago
Hurricane Melissa Could Make 3 Landfalls in 3 Days, Ravaging the Caribbean
Gizmodo - Technology - 3 days ago
 
    Melissa set to be the strongest hurricane to ever strike Jamaica
Storm reached sustained winds of 160 mph on Monday morning.
Ars Technica - Science - 3 days ago
Weather -- Category 5 Hurricane Melissa Will Drop Catastrophic Amounts of Rain on Jamaica
Melissa is a Category 5 major hurricane and moving relatively slow—a brutal combination that will drench some parts of Jamaica with up to 40 inches of rain
Scientific American - Environment - 3 days ago
 
    Hurricane Melissa threatens catastrophic flooding in Jamaica and Haiti
Expected to make landfall in Jamaica on Monday evening or Tuesday morning, Hurricane Melissa is forecast to become a Category 5 hurricane, making it the strongest storm on record for the Caribbean island nation,
Euronews - Environment - 3 days ago
 
    Hurricane Melissa strengthens to Category 5 storm: NHC
Washington: Hurricane Melissa strengthened Monday to the maximum Category 5, the US National Hurricane Center said while warning of catastrophic floo...
Peninsula Qatar - US News - 3 days ago
Daily Mail - Science - 3 days ago
Daily Mail - Science - 3 days ago
Hurricane Melissa 'rapidly intensifies' as holiday spot braces for huge 25in of rain
Daily Express - World - 3 days ago
Hurricane Melissa may hit Category 5, inundate northern Caribbean
New York Daily News - World - 4 days ago
 
    Hurricane Melissa strengthens as it crawls toward Jamaica
Kingston, Jamaica: Hurricane Melissa was cutting a deadly path through the Caribbean on Sunday, strengthening into a Category 4 storm as it crawled al...
Peninsula Qatar - US News - 4 days ago
US East Coast on high alert as deadly Storm Melissa threatens several states with pounding waves
Daily Mail - Science - 6 days ago
Daily Mail - Science - 6 days ago
Daily Mail - Science - 8 days ago
Fighting to repair your home after hurricanes Helene and Milton? We want to hear from you
Tampa Bay Times - Environment - 17 days ago
 
    La Nina is back, but it's weak and may be brief. Will it still amp up the Atlantic hurricane season?
The San Diego Union-Tribune - Environment - 21 days ago
 
    Florida county battered by 2024 hurricanes spends $125M on beach restoration
The San Diego Union-Tribune - Environment - 22 days ago
 
    From wreckage to resilience: Bolstering Barbados' fishing industry against hurricane impacts
Without proper support, fishery-dependent communities may fail to recover, leading to declining employment, food security, and biodiversity.
Global Voices - Environment - 24 days ago
Christian Science Monitor - Science - 1 month ago
 
    Are You Still Rebuilding After Hurricane Helene? We Want to Hear From You.
We want to hear from North Carolinians whose homes were damaged or destroyed to better understand how well the state housing recovery program, RenewNC, is working for those who need it.
ProPublica - Top Stories - 1 month ago
 
    North Carolina family still recovering a year after Hurricane Helene destroyed home
The Keele family looks back on the past year since their Western North Carolina home was destroyed by Helene after the hurricane turned tropical storm ravaged the region.
Fox News - Environment - 1 month ago
Hurricane Helene hit the reset button on one town's goal of becoming an outdoor tourism mecca
The San Diego Union-Tribune - Environment - 1 month ago
Hurricane Helene hit North Carolina a year ago. Some students never returned to school
The San Diego Union-Tribune - Environment - 1 month ago
Life in the Time of Hurricanes
Texas Observer - Environment - 1 month ago
Salvation Army reveals how Hurricane Katrina changed disaster relief operations forever
Twenty years after Hurricane Katrina, nonprofits like the Salvation Army continue long-term recovery efforts in New Orleans using community-focused disaster relief strategies.
Fox News - Environment - 2 months ago
Hurricane Katrina survivors share stories of perseverance 20 years after deadly storm
Twenty years after Hurricane Katrina, a Salvation Army captain reflects on his dangerous rescue mission and how tragedy led him to find purpose in helping others.
Fox News - Environment - 2 months ago
Christian Science Monitor - Environment - 2 months ago
Christian Science Monitor - Environment - 2 months ago
Is New Orleans Safer Now Than When Hurricane Katrina Hit 20 Years Ago?
Scientists and engineers have been implementing steps to better protect New Orleans, but recent government actions are undermining the work, raising alarm
Scientific American - Opinion - 2 months ago
 
    Hurricane Erin prompts beach closures and emergency declarations across multiple states
Hurricane Erin is bringing 100 mph winds and dangerous rip currents to coastal towns, prompting beach closures and tropical storm warnings from North Carolina to Virginia.
Fox News - Environment - 2 months ago
The Conversation - Environment - 2 months ago
 
    
“When I think about the theme artist title, I don’t think about being the first Black anything. [It's] about telling Althea Gibson’s story...she’s the blueprint for Black women in tennis.”
Global Voices - Sports - 2 months ago
 
    
As with 2024’s Hurricane Beryl, forecasters have commented on Erin’s speedy acceleration from tropical storm to hurricane, which studies are linking to climate change.
Global Voices - World - 2 months ago
Western North Carolina residents head to court Monday in a fight against an "illegal" mine that swept into the mountains in the wake of Hurricane Helene.
Fox News - Environment - 2 months ago
Miami New Times - Environment - 2 months ago
Some Texas Officials Didn't Respond to Flood Alerts, Echoing the Tragedies of Hurricane Helene
Weather warnings predicted devastation from both the Texas floods and Hurricane Helene. But in both disasters, people were left in harm’s way.
ProPublica - Environment - 3 months ago
The cutoff was initially set for June 30. Instead, it now comes near the peak of hurricane season.
Miami New Times - Environment - 3 months ago
After four months of reporting, ProPublica found that the warnings about Helene were eerily accurate. Yet, local residents remained largely unaware of the enormity of danger approaching as the storm closed in.
ProPublica - Environment - 5 months ago
Andrea, Jerry, Wendy: Here's what hurricanes will be named in 2025
Business Insider - Science - 5 months ago
 
    How Do You Stop a Hurricane Made of Fire?
California fights wildfires like wars, but this one may be unwinnable.
New York Magazine - Opinion - 9 months ago
 
    
Even as some social media users focused on “hurricane history” being made, Caribbean netizens were feeling deeply anxious.
Global Voices - Science - 1 year ago
Daily Mail - Opinion - 1 year ago
Hurricane Harvey, 1 Year Later: Harrowing Images From Before and After
Inside Edition - US News - 1 year ago
How the Devastation of Hurricane Ida Is Still Being Felt in Parts of Louisiana
Inside Edition - US News - 1 year ago
 
    
Weather experts may be fascinated by Beryl's exceptionality, but those who have been routinely battered fear that all the factors that make Beryl stand out may well become the norm.
Global Voices - Science - 1 year ago
Slideshow: Worst hurricanes in US history
ABC News - US News - 6 years ago